Hier ist eine ausführlichere Version deines Rezepts für eine köstliche …
Hähnchenschnitzel, cremige Zitronen-Estragon-Sauce, Petersilie und Schnittlauch
Hähnchenschnitzel, cremige Zitronen-Estragon-Sauce, Petersilie und SchnittlauchZutaten (2 Personen): 4 Hähnchenschnitzel15 …
15 Pflanzen, die Schädlinge fernhalten: Ihr natürlicher Schutzgarten!
Wussten Sie, dass bestimmte Pflanzen nicht nur schön anzusehen sind, …
15 Tipps für den erfolgreichen Anbau von Freilandtomaten
Der Anbau von Tomaten im Freien kann eine äußerst erfüllende …
Rosen mit einer Kartoffel vermehren: So gelingt es!
Rosen sind nicht nur wunderschöne Blumen, sondern auch ein Symbol …
Marienkäfer: Das geheime Geheimnis für einen blühenden Garten!
Wussten Sie, dass Marienkäfer nicht nur niedlich anzusehen sind, sondern …
Clever Anbau von köstlichen Erdbeeren: Ihre Anleitung zum Erfolg!
Erdbeeren gehören zu den beliebtesten Früchten und sind nicht nur …
Praktischer Leitfaden für das Bleichen von Baumstämmen mit Kalk und Kupfersulfat
Das Bleichen von Baumstämmen ist eine effektive Methode, um Holz …
So pflegen Sie Rosmarin richtig, damit er gesund, kräftig und üppig wächst!
Rosmarin ist nicht nur eine beliebte Küchenkraut, sondern auch eine …
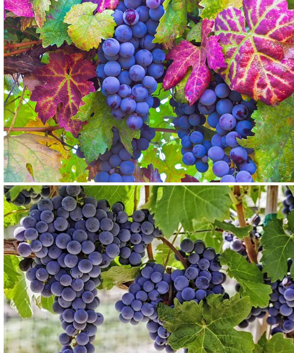
Einfache und erfüllende Methode, um zu Hause Trauben anzubauen!
Der Anbau von Trauben zu Hause ist eine wunderbare Möglichkeit, …

